Étiquette de dalle à épaisseur variable
DY
Dany Yu
03 janvier 2019
8216 0 5 0
Bonjour tout le monde,
Je suis en Bureau d'étude structure. J'aimerai créer une étiquette de dalle à épaisseur variable.
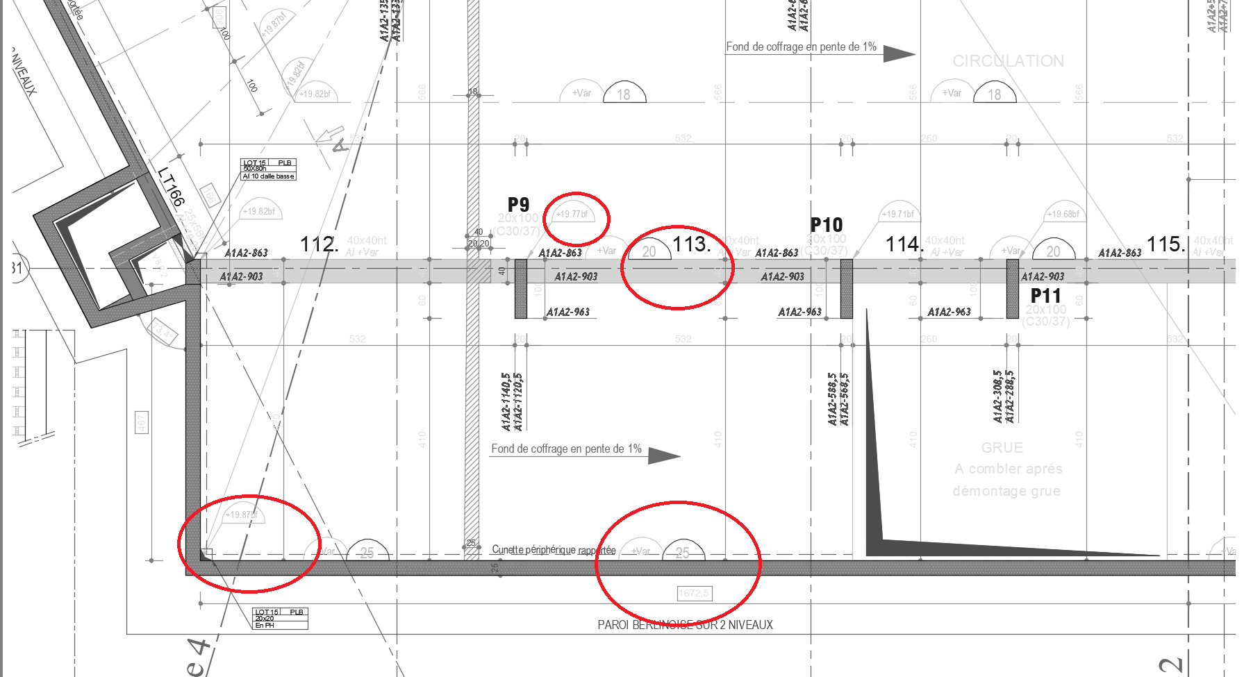
Par exemple sur le pnj ci-joint, j'ai une dalle qui varie de 25 cm à 20 cm avec une sous-face de coffrage plane.
J'aimerai créer une étiquette qui détecte l'épaisseur de la dalle suivant son positionnement et aussi son niveau NGF.
Car aujourd'hui, REVIT affiche seulement "varie" comme valeur d'épaisseur.
Si vous avez des pistes, je suis preneur. Je n'ai pas encore bien réfléchi comment le faire en dynamo... peut-être en créant un objet (un demi cylindre??) qui se colle contre une dalle et qui le découpe pour donner un solid. On récupère la hauteur de ce solid cylindre pour finalement l'afficher. Un peu laborieux :/
Revitement.
Je suis en Bureau d'étude structure. J'aimerai créer une étiquette de dalle à épaisseur variable.
Par exemple sur le pnj ci-joint, j'ai une dalle qui varie de 25 cm à 20 cm avec une sous-face de coffrage plane.
J'aimerai créer une étiquette qui détecte l'épaisseur de la dalle suivant son positionnement et aussi son niveau NGF.
Car aujourd'hui, REVIT affiche seulement "varie" comme valeur d'épaisseur.
Si vous avez des pistes, je suis preneur. Je n'ai pas encore bien réfléchi comment le faire en dynamo... peut-être en créant un objet (un demi cylindre??) qui se colle contre une dalle et qui le découpe pour donner un solid. On récupère la hauteur de ce solid cylindre pour finalement l'afficher. Un peu laborieux :/
Revitement.
Réponses
Bonjour, la dalle variable c'est une famille dalle? ou bien c'est un autre type de famille ?
On peut avoir les épaisseurs avec les paramètres partager.
Je peux vous aider si vous m'expliquer quelque points.
On peut avoir les épaisseurs avec les paramètres partager.
Je peux vous aider si vous m'expliquer quelque points.
NB
Salut,
Le plus simple c'est de détourner le ferraillage
> Créer la dalle avec des deux niveaux.
> Créer une coupe dans le sens de la pente.
> Régler les paramètres d'enrobage a 0cm.
> Dans le coupe lancer la commande ferraillage et insérer une barre droite verticale sur tes deux bords (le plus grand et le plus petit).
> Dans ta vue en plan utiliser une étiquette d'armature qui affiche juste la longueur de cette dernière.
> Enjoy
Si j'ai le temps je ferais une vidéo ou un gif
Le plus simple c'est de détourner le ferraillage
> Créer la dalle avec des deux niveaux.
> Créer une coupe dans le sens de la pente.
> Régler les paramètres d'enrobage a 0cm.
> Dans le coupe lancer la commande ferraillage et insérer une barre droite verticale sur tes deux bords (le plus grand et le plus petit).
> Dans ta vue en plan utiliser une étiquette d'armature qui affiche juste la longueur de cette dernière.
> Enjoy
Si j'ai le temps je ferais une vidéo ou un gif
MQ
MQ
Super. Merci Mikael pour cette astuce.
Du coup pour éviter de faire des coupes à chaque fois qu'on a besoin de placer une barre droite, j'ai mis l'orientation de la barre "perpendiculaire à l'enrobage". Le mieux, c'est de faire une famille qui intègre la barre et l'annotation en même temps.
Le seul défaut que j'ai remarqué, c'est quand je déplace ma barre (déjà créée) sur la dalle sa longueur ne se remet pas à jour. En conséquence, je dois créer une nouvelle barre au nouvel emplacement et annoter de nouveau.
Du coup pour éviter de faire des coupes à chaque fois qu'on a besoin de placer une barre droite, j'ai mis l'orientation de la barre "perpendiculaire à l'enrobage". Le mieux, c'est de faire une famille qui intègre la barre et l'annotation en même temps.
Le seul défaut que j'ai remarqué, c'est quand je déplace ma barre (déjà créée) sur la dalle sa longueur ne se remet pas à jour. En conséquence, je dois créer une nouvelle barre au nouvel emplacement et annoter de nouveau.
DY
Bonsoir, voila une autre solution
- Il faut créer une étiquette
- Créer une nouvelle formule "voir ma vidéo sur le lien :
E= (volum)/(surface)*(2)-(épaisseur par défaut)
- Cette formule il fonctionne dans une intervalle
https://youtu.be/qjv32OCUYNw
Merci en tout cas
- Il faut créer une étiquette
- Créer une nouvelle formule "voir ma vidéo sur le lien :
E= (volum)/(surface)*(2)-(épaisseur par défaut)
- Cette formule il fonctionne dans une intervalle
https://youtu.be/qjv32OCUYNw
Merci en tout cas
NB
Bonjour Najati Badr
Ta méthode est plus pratique. Je pense que pour ce qu'on fait dans le bâtiment, ta méthode fonctionne dans 99% des cas. Généralement, on a des différences de niveau au max de 10 cm et sachant que revit arrondi à l'entier supérieur, tu t'en sors pas trop mal.
On trouve ces pentes de dalle dans les parkings (20 à 23 cm) et les balcons (16 à 18 cm).
J'ai remarqué que REVIT donne la surface sur la face supérieure de la dalle. Pour des pentes faibles, ta formule est juste car S sup = S inf.
Pour des cas particuliers comme la dalle triangulaire, au pire je fais une autre étiquette avec un terme de correction dans la formule.
Merci pour l'aide.
Ta méthode est plus pratique. Je pense que pour ce qu'on fait dans le bâtiment, ta méthode fonctionne dans 99% des cas. Généralement, on a des différences de niveau au max de 10 cm et sachant que revit arrondi à l'entier supérieur, tu t'en sors pas trop mal.
On trouve ces pentes de dalle dans les parkings (20 à 23 cm) et les balcons (16 à 18 cm).
J'ai remarqué que REVIT donne la surface sur la face supérieure de la dalle. Pour des pentes faibles, ta formule est juste car S sup = S inf.
Pour des cas particuliers comme la dalle triangulaire, au pire je fais une autre étiquette avec un terme de correction dans la formule.
Merci pour l'aide.
DY
Oui c'est exactement ça, bonne courage 
NB
La solution de Najati est en effet plus élégante
Il faut juste bien faire attention de l'utiliser dans les cas qui sont compatible avec.
Il faut juste bien faire attention de l'utiliser dans les cas qui sont compatible avec.
MQ


